Contact
Politică
Actual
Economic
Extern
Lifestyle
Sport
Travel
Politică
Actual
Economic
Extern
Lifestyle
Sport
Travel
Caută
Categorii
Politică
Actual
Economic
Extern
Lifestyle
Sport
Travel
Info
Contact
Urmați-ne
avertizare maE
Actual
04.10.2025
Atenție, călători: Ministerul Afacerilor Externe avertizează asupra condițiilor meteorologice severe în Nepal.
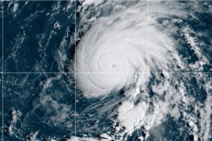
Actual
25.09.2025
Alertă de urgență: Ciclonul Gabrielle se îndreaptă spre Azore. MAE avertizează turiștii.
Publicitate
Ultimă oră
Descinderi ale DNA la Primăria Sectorului 3, sub conducerea lui Robert Negoiță.
Bacterii periculoase identificate de DSP în investigația legată de toxiinfecția de la o nuntă din Iași.
O descoperire șocantă: 100.000 de euro găsiți în biroul unui procuror din Constanța, plus 30.000 în automobilul său.
DIICOT a anihilat o rețea care comercializa „suplimente-minune” false în diverse colțuri ale Europei, provocând pierderi de milioane de euro.
Doi adolescenți acuzați de violul unei fete de 13 ani, capturați de autorități în Alba.
Welcome Back!
Sign in to your account
Nume de utilizator sau Adresa de email
Parola
Ține-mă minte
Ti-ai pierdut parola?